skip to main content

Japan on high alert as super typhoon approaches

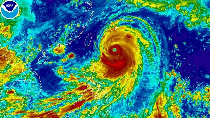
Gusts of up to 270km/hr and torrential rain are possible
Gusts of up to 270km/hr and torrential rain are possible

A powerful typhoon is approaching Japan's Okinawa island chain.

With the typhoon forecast to grow in intensity, residents have been advised to stay indoors.

Japan's Meteorological Agency said the storm could be one of the strongest to hit Japan in decades.

The agency warned of violent winds and high waves.

The typhoon is expected to reach Okinawa early tomorrow.

Gusts of up to 270km/hr and torrential rain are possible.